- 横浜市トップページ
- くらし・手続き
- まちづくり・環境
- 都市整備
- 地区計画・建築協定等
- 建築協定
- 各区の建築協定
- 青葉区 建築協定一覧
- 新石川二丁目A地区建築協定
ここから本文です。
新石川二丁目A地区建築協定
最終更新日 2025年4月7日
事前協議要望地区(建築協定区域を含む)
事前協議要望地区
事前協議要望地区から除外される敷地
- 事前協議要望地区内の敷地で建築計画がある場合は、事前に運営委員会に連絡してください。
- 運営委員会の連絡先は、青葉区まちのルールづくり相談センター(青葉区区政推進課内:045-978-2217)までお問い合わせください。
- 隣接地については、今後、建築協定に加入する場合がありますので、ご注意下さい。
- 「事前協議要望地区」とは?
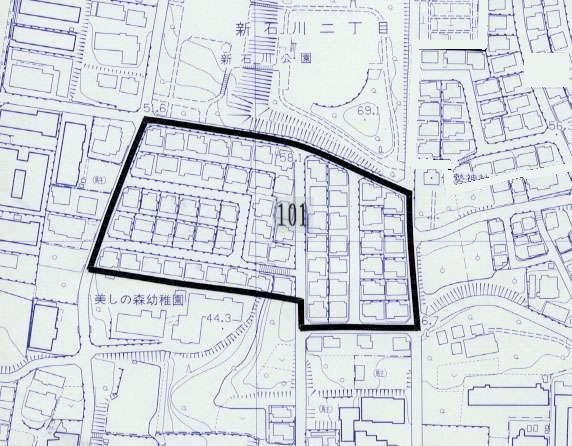
- 認可された建築協定区域図(PDF:294KB)
建築協定区域と隣接地(協定に同意していない方の土地)の詳細図 - 建築協定書(PDF:345KB)
※建築基準法の改正により、協定書に記載されている条項にずれが生じています。詳しくは建築協定の制限に関わる建築基準法の条項をご覧ください。
※協定の基準等の取扱いについては必ず各運営委員会にご確認ください。 - 制限の概要(協定書の抜粋)
(建築物に関する基準)
第8条 前条に定める協定区域内の建築物の敷地、位置、用途、形態および建築設備は、次の各号に定める基準によらなければならない。
(1) 用途は一戸建個人専用住宅(注:2世帯同居住宅を含む)又は医院(獣医院を除く)併用住宅とする。
(2) 建築物の高さは地盤面から9メートル、軒の高さは6.5メートルをそれぞれ超えないものとする。
(3) 敷地の分割はできないものとする。
(4) 地盤面(宅地造成完了時)を変更することはできないものとする。
(5) 隣地境界線と建物の外壁またはこれに代わる柱の面までの距離は1メートル以上とする。ただし、建築基準法施行令第135条の5※に掲げられている内容に該当する場合はこの限りでない。
(6) 地階を除く階数は2以下とする。
(7) 便所は水洗式とする。
※建築基準法の改正により、協定書に記載されている条項にずれが生じています。詳しくは建築協定の制限に関わる建築基準法の条項をご覧ください。
このページへのお問合せ
青葉区まちのルールづくり相談センター(青葉区区政推進課)
電話:045-978-2217
電話:045-978-2217
ファクス:045-978-2411
メールアドレス:ao-machirule@city.yokohama.lg.jp
ページID:669-671-177





