- 横浜市トップページ
- くらし・手続き
- まちづくり・環境
- 都市整備
- 地区計画・建築協定等
- 建築協定
- 各区の建築協定
- 青葉区 建築協定一覧
- 市ケ尾町D地区建築協定
ここから本文です。
市ケ尾町D地区建築協定
最終更新日 2025年4月7日
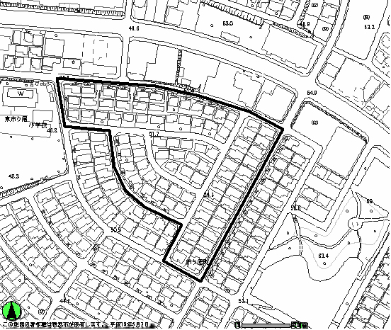
事前協議要望地区(建築協定区域を含む)
事前協議要望地区
事前協議要望地区から除外される敷地
- 事前協議要望地区内の敷地で建築計画がある場合は、事前に運営委員会に連絡してください。
- 運営委員会の連絡先は、青葉区まちのルールづくり相談センター(青葉区区政推進課内:045-978-2217)までお問い合わせください。
- 隣接地については、今後、建築協定に加入する場合がありますので、ご注意下さい。
- 「事前協議要望地区」とは?
- 認可された建築協定区域図(PDF:762KB)
建築協定区域と隣接地(協定に同意していない方の土地)の詳細図 - 建築協定書(PDF:4,994KB)
※協定の基準等の取扱いについては必ず各運営委員会にご確認ください。 - 制限の概要(協定書の抜粋)
(建築物に関する基準)
第6条 協定区域内における建築物の敷地、位置、構造、用途、形態、意匠又は建築設備は次の各号に定める基準によらなければならない。
(1) 建築物の用途は、住宅宿泊事業法(平成29年法律第65号)に規定する届出住宅とするものを除く一戸建ての住宅(三世帯以上の同居住宅を除く。)、長屋(住戸の数が二であるものに限る。)、又は診療所(獣医院を除く。)併用住宅とする。
(2) 建築物の高さは、地盤面から9メートル、軒の高さは地盤面から7メートルをそれぞれ超えないものとする。
(3) 地階を除く階数は、2以下とする。
(4) 敷地の分割はできないものとする。
(5) 敷地内における切土及び盛土はできないものとする。 ただし、自動車車庫等を築造するため又は車いす用スロープやリフト等を造るための切土及び盛土についてはこの限りでない。
(6)建築物の外壁又はこれに代わる柱の面から境界線までの距離(以下「外壁の後退距離」という。)は1メートル以上とする。 ただし、外壁の後退距離の限度に満たない距離に ある建築物又は建築物の部分が、次のいずれかに該当する場合は、この限りでない。
ア 外壁又はこれに代わる柱の中心線の長さの合計が3メートル以下であること。
イ 物置その他これに類する用途に供し、軒の高さが2.3メートル以下で、かつ、床面積の合計が5平方メートル以内であること。
ウ 開放性のある自動車車庫 (閉鎖的な壁面、シャッター等を有しないもの。)
(7) 敷地境界にある既設の擁壁に、石積のかさあげ及び傾斜面上に建築物又は架台若しくは歩廊等の工作物の張出し設置は行わないものとする。 なお、擁壁を新設する場合もこれと同様とする。
(8) 道路に面する垣又はさくの構造は、生け垣又はネットフェンス等の開放性のあるものとする。 ただし、門に付随する小規模なものはこの限りでない。
(9) 敷地には、機械式駐車装置の設置はできないものとする。
このページへのお問合せ
青葉区まちのルールづくり相談センター(青葉区区政推進課)
電話:045-978-2217
電話:045-978-2217
ファクス:045-978-2411
メールアドレス:ao-machirule@city.yokohama.lg.jp
ページID:942-283-756





