ここから本文です。
大船緑ヶ丘ネオポリス神戸地区建築協定
最終更新日 2023年4月6日
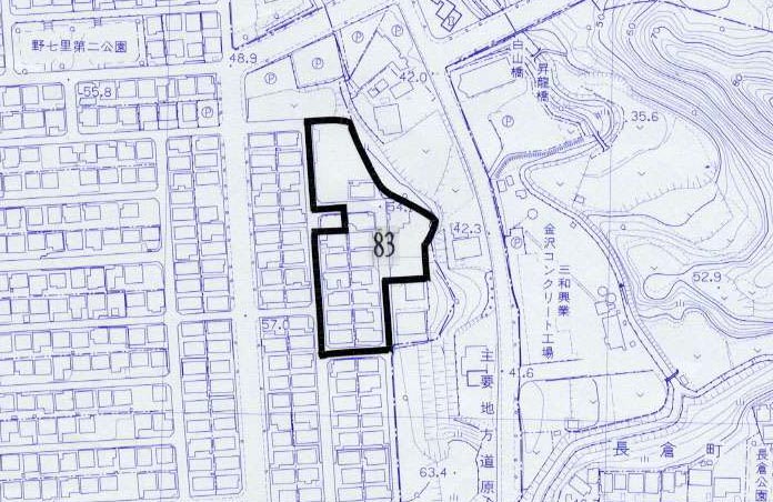
事前協議要望地区図(建築協定区域を含む)
建築協定地区
建築協定地区から除外される敷地
- 事前協議要望地区内の敷地で建築計画がある場合は、事前に運営委員会に連絡してください。
- 運営委員会の連絡先は、都市整備局地域まちづくり課(045-671-2667)までお問い合わせください。
- 隣接地については、今後、建築協定に加入する場合がありますので、ご注意下さい。
- 「事前協議要望地区」とは?
- 認可された建築協定区域図(PDF:303KB)
建築協定区域と隣接地(協定に同意していない方の土地)の詳細図 - 建築協定書(PDF:592KB)
※建築基準法の改正により、協定書に記載されている条項にずれが生じています。詳しくは建築協定の制限に関わる建築基準法の条項をご覧ください。
※協定の基準等の取扱いについては必ず各運営委員会にご確認ください。 - 制限の概要(協定書の抜粋)
(建築物の制限)
第8条 前条に定める区域内の建築物の敷地,位置,構造,用途及び形態について,各項に定める基準によらなければならない。
(1) 協定認可時の区画を再分割してはならない。
(2) 外壁またはこれにかわる柱の面から敷地境界線までの距離は1m以上とする。ただし,外壁を有しない開放性のある自家用自動車車庫及び建築基準法施行令第135条の5※各号の一に該当する建築物についてはこの限りでない。
(3) 建築物の用途は,1戸建専用住宅及び医院兼用住宅(獣医院は除く)とする。ただし,公益上必要な建築物で,周囲の環境を著しく害さないと認められるものについては,この限りでない。
(4) 建築物の階数は,地階を除き2以下とする。
(5) 地盤面からの建築物の高さ及び軒高は,それぞれ8m及び6.5mをこえないものとする。
(6) 建築面積の敷地面積に対する割合(建ペイ率)は10分の5以下とする。
(7) 建築物の延べ床面積の敷地面積に対する割合(容積率)は10分の8以下とする。
(8) 地盤面の高さについては,二次造成(切土,盛土)により変更してはならない。ただし,自家用自動車車庫を設置するための切土についてはこの限りでない。
(9) 塀は植裁等の施工によるよう努めるものとする。
(10) 原則として周囲の環境を害する自家用以外の駐車場の土地利用はしてはならない。
※建築基準法の改正により、協定書に記載されている条項にずれが生じています。詳しくは建築協定の制限に関わる建築基準法の条項をご覧ください。
このページへのお問合せ
都市整備局地域まちづくり部地域まちづくり課
電話:045-671-2667
電話:045-671-2667
ファクス:045-663-8641
ページID:757-252-662





