- 横浜市トップページ
- くらし・手続き
- まちづくり・環境
- 都市整備
- 地区計画・建築協定等
- 建築協定
- 各区の建築協定
- 保土ケ谷区 建築協定一覧
- 東戸塚グリーンタウン建築協定
ここから本文です。
東戸塚グリーンタウン建築協定
最終更新日 2024年8月1日
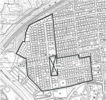
事前協議要望地区図(建築協定区域を含む)

事前協議要望地区

事前協議要望地区から除外される敷地
- 事前協議要望地区内の敷地で建築計画がある場合は,事前に運営委員会に連絡してください。
- 運営委員会の連絡先は、都市整備局地域まちづくり課までお問い合わせください。
- 隣接地については、今後、建築協定に加入する場合がありますので、ご注意下さい。
- 「事前協議要望地区」とは?
- 認可された建築協定区域図(PDF:493KB)
建築協定区域と隣接地(協定に同意していない方の土地)の詳細図 - 建築協定書(PDF:216KB)
※協定の基準等の取扱いについては必ず各運営委員会にご確認ください。
制限の概要(協定書の抜粋)
(建築物に関する基準等)
第6条 協定区域内の建築物の用途、形態、敷地及び意匠は、次の各号に定める基準によらなければならない。
(1) 建築物の用途は、次に掲げるものとする。
ア一戸建て専用住宅
イ親子、兄弟等の親族の同居する二世帯同居住宅
ウ診療所併用住宅
エ建築基準法施行令第130条の3に定める兼用住宅で、第7条に定める運営委員会が認めたもの
オ建築基準法施行令第130条の4に定める公益上必要な建築物で、第7条に定める運営委員会が認めたもの
(2) 地階を除く階数は、2以下とする。ただし、第7条に定める運営委員会が認めたものはこの限りでない。
(3) 建築物の高さ及び軒の高さは、建築基準法に定める地盤面からそれぞれ9m及び6.5mを超えないものとする。ただし、第7条に定める運営委員会が認めたものはこの限りでない。また、隣地への日照を十分考慮するよう努めなければならない。
(4) 敷地の分割は、できないものとする。ただし、次のいずれかに該当する場合については、この限りでない。
ア分割後の各々の敷地面積が165㎡以上となる場合
イ第7条に定める運営委員会が第1条の目的に反しないものと認めた場合
(5) 盛土による敷地の地盤面の変更はできないものとする。
(6) 敷地の擁壁への架台の設置は、できないものとする。
(7) 擁壁の設置にあたっては、安全性を十分に確保し、緑化等の美観に努めなければならない。
(8) 建築物の屋根及び外壁の色彩は、周囲の景観に配慮したものとする。
このページへのお問合せ
都市整備局地域まちづくり部地域まちづくり課
電話:045-671-2667
電話:045-671-2667
ファクス:045-663-8641
ページID:772-008-517





