- 横浜市トップページ
- くらし・手続き
- まちづくり・環境
- 都市整備
- 地区計画・建築協定等
- 建築協定
- 各区の建築協定
- 保土ケ谷区 建築協定一覧
- 常盤台166番地建築協定
ここから本文です。
常盤台166番地建築協定
最終更新日 2023年4月3日
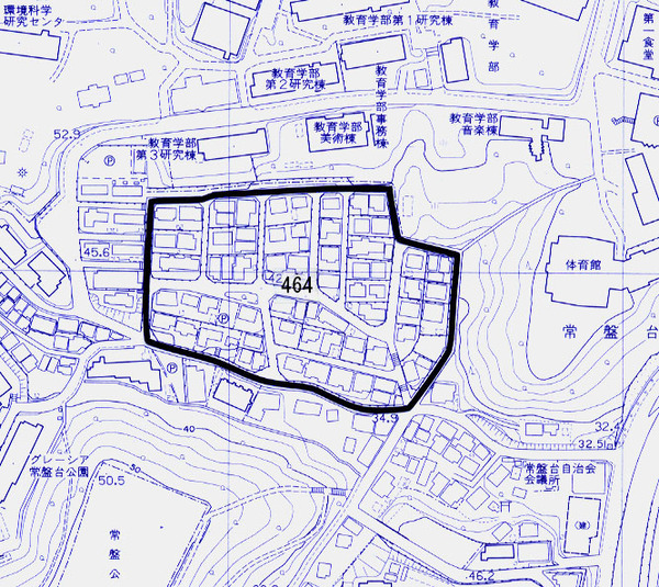
事前協議要望地区図(建築協定区域を含む)

事前協議要望地区

事前協議要望地区から除外される敷地
- 事前協議要望地区内の敷地で建築計画がある場合は,事前に運営委員会に連絡してください。
- 運営委員会の連絡先は、都市整備局地域まちづくり課までお問い合わせください。
- 隣接地については、今後、建築協定に加入する場合がありますので、ご注意下さい。
- 「事前協議要望地区」とは?
- 認可された建築協定区域図(PDF:325KB)
建築協定区域と隣接地(協定に同意していない方の土地)の詳細図 - 建築協定書(PDF:236KB)
※協定の基準等の取扱いについては必ず各運営委員会にご確認ください。 - 制限の概要(協定書の抜粋)
制限の概要(協定書の抜粋)
(建築物に関する基準)
第6条 協定区域内の建築物の用途、敷地及び形態は次の各号に定める基準によらなければならない。
(1) 建築物の用途は、次に掲げる用途以外のものとする。ただし、隣接地権者の同意を得、かつ第7条に規定する運営委員会と協議し、運営員会が認めたものはこの限りではない。
ア 住宅宿泊事業法(平成29年法律第65号)に規定する届出住宅
イ 共同住宅
ウ 長屋
(2) 敷地面積は、100㎡以上とする。
(3) 建築物の高さは、横浜国際港都建設計画高度地区最高限第1種における建築物の高さの最高限度を超えてはならない。この規定の適用の緩和に関する措置は、最高限高度地区における制限の緩和の規定を準用する。
(4) 敷地の地盤面(主たる建築物の接する地盤であり、本協定の認可公告時のものをいう。)の変更はできないものとする。ただし、隣接地権者の同意を得、かつ第7条に規定する運営委員会と協議し、運営委員会が認めたものはこの限りでない。
このページへのお問合せ
都市整備局地域まちづくり部地域まちづくり課
電話:045-671-2667
電話:045-671-2667
ファクス:045-663-8641
ページID:529-649-000





